조황관리HOME / 조황관리 / 상세정보

제목 : <여수오션스타>2월5일 참돔타이라바 조황 마릿수 폭발!!100참 오바 설연휴기간 쭉 출항합니다 다음주 기상 물때 좋습니다 예약문의 010 7381 5882
등록일 : 2021-02-05














































































#참돔타이라바 #만쿨 #100참오바 #거문도시즌
#다음주쭉출항 #당신은참돔왕 #마일리지적립 #연박환영
#무료숙소제공 #1박2일타이라바
#설연휴간출조모집
⭐⭐⭐⭐⭐⭐⭐⭐⭐⭐
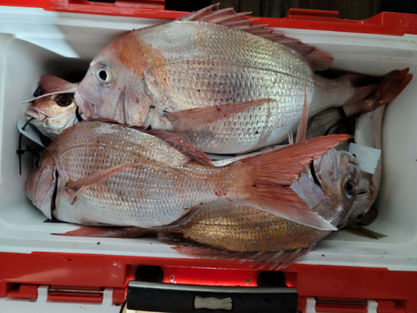
*️⃣2월5일 여수오션스타1호 참돔 타이라바 조황입니다.

드디어 집나간 참돔들이 돌아왔습니다.

거문도 시즌이 도래했습니다.

참돔 입질이 종일 이어지다 보니 점심도 늦게 드셨다네요

아마 배고프신줄도 모르고 잡으셨을겁니다.

어창 100수오바 개인쿨러 포함  상당한 마릿수였습니다.

곧 대물 시기가 다가옵니다.

늦지마시고 찾아주세요

실장님 사진촬영으로 사진에 날짜가 없습니다.

금일 찾아주신분들 수고하셨습니다.

감사합니다

다음주 명절연휴 기상만 좋다면 무조건 달립니다.

예약문의

010 7381 5882

BandPhoto_2021_02_05_21_17_51.jpg


BandPhoto_2021_02_05_21_17_52.jpg


BandPhoto_2021_02_05_21_17_49.jpg


BandPhoto_2021_02_05_21_17_48.jpg


BandPhoto_2021_02_05_21_17_46.jpg


BandPhoto_2021_02_05_21_17_45.jpg


BandPhoto_2021_02_05_21_17_43.jpg


BandPhoto_2021_02_05_21_17_42.jpg


BandPhoto_2021_02_05_21_17_40.jpg


BandPhoto_2021_02_05_21_17_39.jpg


BandPhoto_2021_02_05_21_17_38.jpg


BandPhoto_2021_02_05_21_17_36.jpg


BandPhoto_2021_02_05_21_17_35.jpg


BandPhoto_2021_02_05_21_17_33.jpg


BandPhoto_2021_02_05_21_17_32.jpg


BandPhoto_2021_02_05_21_17_30.jpg


BandPhoto_2021_02_05_21_17_29.jpg


BandPhoto_2021_02_05_21_17_27.jpg


BandPhoto_2021_02_05_21_17_26.jpg


BandPhoto_2021_02_05_21_17_24.jpg


BandPhoto_2021_02_05_21_17_23.jpg


BandPhoto_2021_02_05_21_17_21.jpg


BandPhoto_2021_02_05_21_17_20.jpg


BandPhoto_2021_02_05_21_17_18.jpg


BandPhoto_2021_02_05_21_17_17.jpg


BandPhoto_2021_02_05_21_17_15.jpg


 

Top